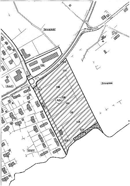
Plan No 29458-532
Vue du périmètre dans Google au bas de la page !
L’enquete publique n’a pas eu lieu.
En effet, compte tenu des risques d’inondations de ce secteur, le projet de loi n’a pas été mis à l’enquete publique.
Projet de loi modifiant les limites de zones sur le territoire de la commune de Puplinge : création d’une zone de développement 3 au lieu-dit « Mon Idée ».
Sa superficie initiale a été ramenée à 47’000 m2.
La commune de Puplinge ainsi que l’association BVAP ne se sont pas prononcées, l’enquete publique n’ayant pas eu lieu.
Le périmètre étant en zone inondable, les projets de construction dans ce périmètre ont été quelque peu freinés.
Attention néanmoins à la construction probable du bassin écrêteur de crues dans la vallée du Foron, qui pourrait modifier le statut de cette zone.
Voir à ce sujet le site de l’Adifor : www.cd15.com

