20 Minutes du 12 avril 2018
On va enfin bâtir aux Communaux d’Ambilly
Les 670 premiers logements de ce projet initié au milieu des années 2000 seront mis en chantier en mai. 1500 habitants emménageront en 2021.
Les travaux des 670 premiers logements prévus aux Communaux d’Ambilly à Thônex (GE) démarreront en mai prochain. Les autorisations de construire pour la réalisation de la première étape de ce grand projet d’aménagement urbain sont en force.
2400 logements en 2030
Au total, 1500 nouveaux habitants emménageront à l’horizon 2021, a indiqué ce jeudi le département de l’aménagement, de logement et de l’énergie (DALE) dans un communiqué. Ce projet initié il y a plus de dix ans a suscité de nombreuses oppositions. Il prévoit 2400 nouveaux logements à l’horizon 2030.
La première étape se compose de quatorze bâtiments de deux à neuf étages, soit 66’000 m2 de surface brute de plancher. Ces appartements de deux à sept pièces sont répartis en propriété par étage (PPE), locatifs à loyers libres et locatifs contrôlés par l’Etat.
Ecole de seize classes
Une nouvelle école de seize classes et des terrains de sport seront intégrés au nouveau quartier. Il y aura également 12’000 m2 de surface commerciale. Environ 270 emplois seront créés lors de cette première étape.
La construction d’un maillon routier, qui servira d’accès principal aux Communaux d’Ambilly, démarrera en septembre, souligne le DALE. Trois lignes de bus seront en service à l’arrivée des nouveaux habitants.
Par ailleurs, les plans localisés de quartier pour la deuxième étape sont à l’étude pour une adoption estimée en 2019. La troisième étape fait actuellement l’objet d’un concours d’urbanisme et d’architecture dont les résultats sont attendus en juin prochain.
La Tribune de Genève du 20 juin 2013
Feu vert pour les Communaux d’Ambilly
Un accord a été conclu entre Thônex, l’Etat et les promoteurs. La commune a retiré son recours.
Les autorités thônésiennes sont soulagées. Grâce à un accord avec l’Etat et les promoteurs, elles savent désormais combien elles devront payer afin de financer les espaces publics des Communaux d’Ambilly. Accepté à l’unanimité par le Municipal de la commune, le protocole garantit également les mesures d’accompagnement demandées par la Mairie en matière de circulation. Celle-ci a d’ores et déjà retiré son recours.
Les Communaux d’Ambilly prévoient la construction de 1240 logements d’ici à 2023. La création des espaces publics, soit des aménagements de surface et des équipements de traitement des eaux, coûtera quelque 40 millions de francs. Grâce à l’augmentation de la taxe d’équipement, la commune n’en payera finalement qu’une petite partie. Le protocole signé par les trois parties détermine qui payera quoi, et à quel moment. Le début des travaux est prévu pour l’an prochain.
2008
Le Conseil d’Etat accepte le Plan de Quartier le 27 août 2008.
Le Grand Conseil vote le déclassement des Communaux d’Ambilly le 13 juin 2008. Loi 10189 : zone de développement 3.
Lettre de l’ADCA aux députés concernant le PL 10189 : déclassement des Communaux d’Ambilly du 15 mai 2008.
Rapport de la Commission d’aménagement du Grand Conseil concernant le PL 10189 du 6 mai 2008
Le PLQ No 29677 est approuvé par le Conseil Municipal le 14 avril 2008.
Le rapport de la Commission d’aménagement du Grand Conseil au sujet du PL10189A concernant le déclassement des Communaux d’Ambilly est visible sur le site ci-dessous. Ce PL passera devant le plenum du GC les 22/23 mai et il ne fait guère de doute qu’il sera accepté.
Mais ce rapport est édifiant sur nombre de points: manière dont les oppositions (dont la nôtre) ont été rejetées, traitement pour le moins léger du danger d’inondabilité des terrains de Mon-Idée (qui ne font pas partie du présent PL),
Projet de loi PL 10189 concernant le déclassement de la zone avec la création d’une zone de développement 3 et de zones de bois et forêts.
Ce projet a été envoyé le 26 janvier 2008 par le Grand conseil à la Commission d’aménagement du Canton.
La procédure d’opposition court jusqu’au 26 février 2008.
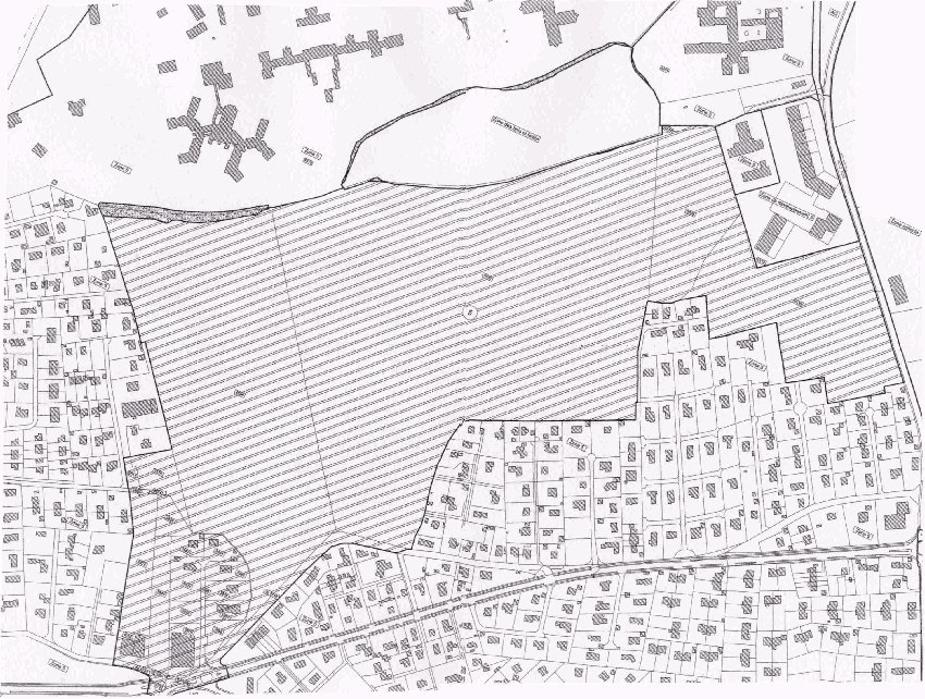
Plan 29460-537
2005
Situé sur la commune de Thônex, ce périmètre en concerne pas directement Puplinge.
Projet de loi modifiant les limites de zones sur le territoire de la commune de Thônex : création d’une zone de développement 3 au lieu-dit « Les Communaux d’Ambilly ».
Le périmètre représente une surface de 360’000 m2.
Motion M 1626 concernant la demande d’un réseau de transport public et privé performant du 18 mars 2005.
Proposition de motion M 1635 demandant une réalisation par étapes du projet d’urbanisation du 20 mai 2005.
La Commune de Thônex négocie avec le DT (Département du Territoire) sur l’avenir de ce périmètre.
Plan No 29460-537

